Вот как наука спасет нас от ураганов

Вот как наука спасет нас от ураганов
Вот как наука спасет нас от ураганов

Та же технология, которую Норвегия использует для защиты своих фьордов ото льда, может буквально лишить силы формирующиеся ураганы.

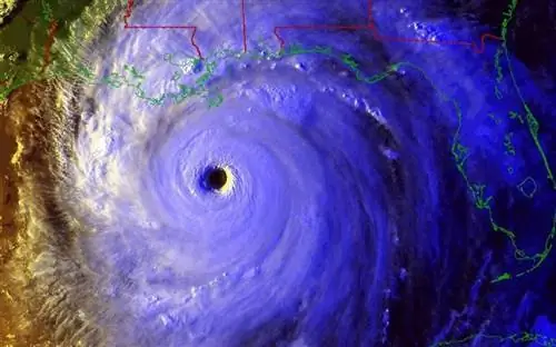
Среди всех стихийных бедствий, происходящих на планете Земля, ураганы во многом являются самыми разрушительными. В то время как великое землетрясение Тохоку и цунами 2011 года являются самой дорогостоящей природной катастрофой в истории, самые дорогостоящие из них, произошедшие в Северной Америке, - это все ураганы, в том числе «Катрина», «Ирма», «Сэнди», «Харви» и «Мария». С ветрами, которые часто превышают 125 миль в час (200 км/ч), огромным количеством дождя, который может смыть целые сообщества, и часто постоянным присутствием, восстановление может занять годы. По мере того, как океанские воды продолжают нагреваться, увеличивается частота выхода на сушу наиболее могущественных классов, что заставляет нас бороться с нашей уязвимостью перед их разрушительным воздействием. Но мы хорошо понимаем, как ураганы формируются и поддерживают свою силу, и если мы сможем это понять, мы сможем бороться с этим, используя науку. Теперь исследователи считают, что они нашли практичный и экономичный способ сделать именно это.

Image
Image

Буквально на прошлой неделе группа SINTEF в Норвегии, крупнейшей независимой исследовательской организации в Скандинавии, опубликовала статью об использовании той же технологии, которую они используют для защиты своих фьордов ото льда зимой, чтобы фактически перевернуть природный «выключатель» для ураганов еще до того, как они достигнут суши. Технология проста: глубже в океан установить перфорированную трубу, в которую будет поступать сжатый воздух, который создаст пузырьки воздуха, которые затем поднимутся. Поднимаясь вверх, они несут на поверхность воду любой температуры окружающей среды.

Image
Image

Зимой или на очень больших глубинах вода наиболее стабильна при 4° C (39° F), что значительно выше точки замерзания 0° C (32° F). По мере того, как более теплая вода поднимается на поверхность, она передает тепло воде, которая находится в контакте с воздухом ниже точки замерзания. За счет стоимости закачки сжатого воздуха в предварительно установленную трубу вы можете предотвратить образование льда на поверхности, сохраняя свои воды открытыми для судоходства и других морских целей. Менее дорогие и более эффективные, чем технология ледокола, эти пузырьковые завесы произвели революцию в том, как Норвегия и другие страны управляют своими фьордами и другими зимними водами.

Image
Image

Ураганы, с другой стороны, формируются, когда поверхностная вода становится слишком теплой при наличии ветров. Причина, по которой ураганы образуются только во время того, что мы называем сезоном ураганов, заключается в том, что температура воды должна превышать примерно 26,5 ° C (80 ° F) при наличии быстрых ветров, чтобы создать ураган. Более низкие температуры, которые преобладают на поверхности в межсезонье, означают, что в воздухе непосредственно над поверхностью океана меньше водяного пара. Это также означает, что богатый влагой воздух не сможет подняться, охладиться и обеспечить постоянное топливо для шторма. Чтобы создать тропический циклон, вам нужно, чтобы температура воды была не менее 80º F (26,5º C) на первых 50 метрах (165 футов) его глубины. Вот почему тропические штормы, такие как ураганы, тайфуны и циклоны, образуются только в экваториальных регионах мира; вода просто недостаточно горячая в другом месте, учитывая другие условия Земли.

Image
Image

Для формирования и поддержания урагана достаточно преобладающих ветров вдоль экваториальных областей Земли, которые циркулируют с востока на запад, чтобы позаботиться об остальном. (Подробная физика понятна достаточно хорошо.) Необходимые изменения давления по мере того, как воздух поднимается и охлаждается, происходят естественным образом, и нет никакого известного механизма для изменения этой его части. Также нет способа изменить преобладающие ветры над океаном; с тем же успехом вы могли бы попытаться удержать Землю от вращения. Но температура океана на больших глубинах не всегда выше, чем на поверхности; они более последовательны. Если бы вы установили перфорированную трубу ниже поверхности океана, на глубине 100-150 метров (330-500 футов), пузырьки воздуха, которые поднимались бы, когда вы прокачивали через нее сжатый воздух, несли бы более холодную воду вверх к поверхности. значительно снижая температуру.

Image
Image

В августе и сентябре 2017 года температура поверхности океана в Мексиканском заливе достигла колоссальных 32º C (90º F), что в первую очередь сделало ураганы «Харви», «Ирма» и «Мария» такими мощными и разрушительными. Однако, если бы эту воду можно было охладить ниже этого порога в 26,5 ° C (80 ° F), эти штормы можно было бы подавить на стадии тропического шторма, не позволив им вызвать разрушения, которые они вызвали.

Image
Image

Трубы на глубине 100-150 метров (330-500 футов) было бы достаточно, чтобы сделать именно это, по словам исследователей, занимающихся этим решением «пузырьковой завесы». По словам Грима Эйднеса:

Наши первоначальные исследования показывают, что трубы должны быть расположены на глубине от 100 до 150 метров, чтобы добывать достаточно холодную воду. При выводе этой воды на поверхность с помощью пузырьковых завес температура поверхности упадет ниже 26,5 ° C, что отключит подачу энергии урагану. Этот метод позволит нам довольно просто не допустить, чтобы ураганы достигли опасной для жизни интенсивности.

Понижение температуры воды на значительную величину - 5,5° C (10°F) -  на самом деле не так уж и сложно; для этого просто требуется достаточно большая плотность пузырьков в течение достаточно длительного периода времени. Океаны глубоки, и как только вы достаточно смешаете поверхностную воду с гораздо более умеренными температурами на более низких глубинах, вы можете быстро опуститься ниже критического температурного порога. Пузырьковые завесы использовались для ряда применений, в том числе в качестве средства ограничения разливов нефти. Это означает, что технология уже используется для развертывания этой технологии на базе нефтедобывающих платформ.

Image
Image

Учитывая, что в Мексиканском заливе уже находится более 4000 таких платформ, это один из идеальных первых кандидатов для проверки эффективности этих пузырьковых завес для уменьшения ураганов. По словам Эйднеса:

Также возможно развернуть крупномасштабные системы, например, проложив трубы через весь Юкатанский пролив или протянув их с материка вдоль побережья. Нет недостатка в возможностях.

Учитывая, что в 2017 году ураганы причинили ущерб только Северной Америке на сумму более 250 миллиардов долларов, даже крупные инвестиции в создание и развертывание крупномасштабной сети этих глубоководных перфорированных труб могут быстро окупиться. дивиденды в уменьшении урона и смертности. Экономический возврат инвестиций может быть огромным, и он защитит нашу инфраструктуру и предотвратит еще одну катастрофу, подобную «Катрине», более эффективно и недорого, чем любой другой план. Но если мы хотим, чтобы это произошло, нам нужно вложить свои деньги в то, что мы говорим, и жить в соответствии с советом самого старшего отца-основателя Америки: унция профилактики стоит фунта лечения.